2024年6月30日日曜日

〜真夏の糸満沖で!〜


本日の沖縄の天気は晴れ〜

気温:32度
水温:28度
風向:南の風やや強く
波高:1.5m

本日はライセンス取得コースの最終日!
☆真夏の糸満沖でバシッと認定☆

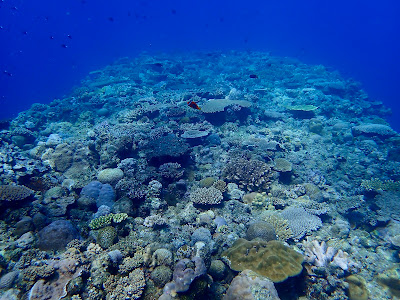
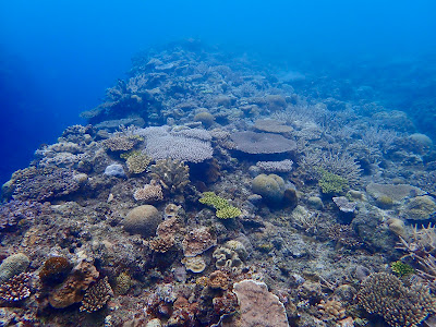
1本目はウエンチ南へ!
まずはロープ潜行中の受講生をパチリ☆

パラオハマ珊瑚の周りには沢山のお魚たちが!

その珊瑚と記念撮影☆

颯爽と現れたイソマグロ!

元気モリモリの浅場の珊瑚も散策!

もの凄い数の綺麗なお魚に見惚れてる間に
あっという間に減圧も終わってました...

2本目は砂地ポイントへ!
やっぱりニモは時代を超えても人気者ですね。
しばらく遊んでもらってました🎶

カラフルなイバラカンザシに興味津々の受講生でした。

めっちゃ可愛い「フタスジリュウキュウスズメダイ」
揃ってカメラ目線、頂きました!

水底を徘徊してたウミヘビ

2本目の後半は余分な力が抜けて来て!

見違えるほど急成長しましたね〜🎶

浮力調整もご覧の通りに!!
無事にダイバー認定おめでとうございます!
次回はアドバンスコースでお待ちしております🎶

~沖縄でダイビングやシュノーケリングを楽しむならウォーターボールへ~


⭐︎ひと組様、限定でのご案内なので安心してお楽しみ頂けます⭐︎


⭐︎まだまだ未開拓のポイント糸満沖も潜るボートダイビングも好評開催中です⭐︎

           

⭐︎まずはお気軽にお問合せ下さい⭐︎


 ⭐︎お問い合せ・ご予約はこちらから⭐︎

 

↓↓↓↓↓↓↓↓↓↓↓↓↓↓↓↓↓↓↓↓↓ 


 ⭐︎ウォーターボールin沖縄⭐︎ 

 

2024年6月29日土曜日

〜暑さに負けず!〜


〜本日の沖縄の天気は晴れ時々曇り〜

気温:32度
水温:28度
風向:南の風
波高:1.5m

本日は那覇のビーチへ!
マンツーでライセンス取得コース開催!

連日、危険な暑さの沖縄ですが。。
暑さに負けずみっちり特訓して来ました!

まずは器材に慣れるために組み立て&バラしから〜。
回数を重ねる毎にスムーズに出来るようになって来ました!

いやいや、それにしても最高のお天気!!

浅場のスキル練習も、ほぼ一発でクリア!
貫禄たっぷりの水中ポストは健在??

子供の頃は、こんなに可愛いのに〜。。
「ダンダラスズメダイ幼魚」

大人になると何があったの??
って言うくらいの目付きになって突進してくる...
大人の「ダンダラスズメダイ」

ミジュン(カタクチイワシ)の群れが豪快でした!

最後は本日、頑張った受講生で〆
気合い十分って感じ!明日も宜しくお願いします!


~沖縄でダイビングやシュノーケリングを楽しむならウォーターボールへ~


 ⭐︎ひと組様、限定でのご案内なので安心してお楽しみ頂けます⭐︎


⭐︎まだまだ未開拓のポイント糸満沖も潜るボートダイビングも好評開催中です⭐︎

           

⭐︎まずはお気軽にお問合せ下さい⭐︎


⭐︎お問い合せ・ご予約はこちらから⭐︎

 

 ↓↓↓↓↓↓↓↓↓↓↓↓↓↓↓↓↓↓↓↓↓ 


 ⭐︎ウォーターボールin沖縄⭐︎ 


 

2024年6月24日月曜日

〜海峡抜群の...〜


〜本日の沖縄の天気は晴れ〜

気温:32度
水温:25~26度
風向:南の風やや強く
波高:1.5m

引き続き今日もGさんとマンツ〜で!
海峡抜群の真栄田岬で潜って来ました🎶

今日も朝からギラギラの日差し!
めっちゃ暑いけど海峡がいいのは有り難いっす!

暑いから素早くドボ〜んと潜行。
海中からでもキョーレツな日差し。汗。。

まずはGさんの姿が見えなくなるくらいの...
ロクセンスズメダイの群れの中を通過!
この数、一目数百匹。たぶん。。

混雑して来る前に青の洞窟へ!

洞窟の入り口付近にはハタンポの幼魚がたくさん。
ず〜っと見てられるけど少し混雑して来たから退散しました。

クチナガイシヨウジはペアで居ました!

岩陰にひっそりと「ハナミノカサゴ」

なかなか逃げ足が早かった「テングカワハギのペア」

こっちをガン見の「ハナビラクマノミ」

今日も可愛い子も見っけ!
ユキンコボウシガニこと「オガサワラカイカムリ」

アカメハゼ達にもご挨拶。

水中でよく目立ってた「メレンゲウミウシ」

「コンペイトウウミウシ」はGさんが見っけ!!

自慢おハサミが一つだけに。。
「オトヒメエビ」

最後は浅場で癒し充電中のGさんで〆
2日間、有り難うございました!
またのお越しをお待ち致しております。m(__)m

~沖縄でダイビングやシュノーケリングを楽しむならウォーターボールへ~

⭐︎ひと組様、限定でのご案内なので安心してお楽しみ頂けます⭐︎


⭐︎まだまだ未開拓のポイント糸満沖も潜るボートダイビングも好評開催中です⭐︎

           

 ⭐︎まずはお気軽にお問合せ下さい⭐︎


⭐︎お問い合せ・ご予約はこちらから⭐︎

 

 ↓↓↓↓↓↓↓↓↓↓↓↓↓↓↓↓↓↓↓↓↓ 


 ⭐︎ウォーターボールin沖縄⭐︎

 

2024年6月23日日曜日

〜夏・本番の沖縄!〜


〜本日の沖縄の天気は晴れ時々曇り〜

気温:32度
水温:26~27度
風向:南の風やや強く
波高:2メートル

本日はリピータのGさんと夏・本番の真栄田岬へ!

梅雨が明けてから一気に暑くなった沖縄!
皆さん熱中症対策に水分補給は小まめにですよ〜。

まずは潜行直後のGさんをパチリ☆
いや〜海の中が気持ちい季節になりましたね!

アカメハゼが大量発生中でした!
ピント合わせに苦労しましたけどね...

見るだけで暑そうな「ミナミクモガニ」
そろそろ衣替えじゃないですかね〜 汗。

ハマクマノミは正面から!!

「ギラギラの太陽の浮上する気泡」

あまりダイバーが行かないエリアで珊瑚浴

ウミシダの中に隠れてる「ウミシダカクレエビ」

普段は、あまり撮らないけど...
目の前を何度も何度も泳いでくれるから🎶
めっちゃ綺麗なお魚「シチセンチョウチョウウオ」

この子達も仲つつまじかったです!
「セグロチョウチョウウオ」

なかなか顔を上げてくれなかった...
ユキンコボウシガニこと「オガサワラカイカムリ」

最後は梅雨明け直後のギラギラの太陽で〆
今日は暑い中お疲れ様でした!
明日も風向き的には真栄田岬ですかね〜。
明日も、どうぞ宜しくお願いします。m(__)m

~沖縄でダイビングやシュノーケリングを楽しむならウォーターボールへ~

⭐︎ひと組様、限定でのご案内なので安心してお楽しみ頂けます⭐︎


⭐︎まだまだ未開拓のポイント糸満沖も潜るボートダイビングも好評開催中です⭐︎

           

⭐︎まずはお気軽にお問合せ下さい⭐︎


⭐︎お問い合せ・ご予約はこちらから⭐︎

 

 ↓↓↓↓↓↓↓↓↓↓↓↓↓↓↓↓↓↓↓↓↓ 


⭐︎ウォーターボールin沖縄⭐︎

 

2024年6月17日月曜日

〜糸満で初ダイビング!〜


〜本日の沖縄の天気は曇り時々雨〜

気温:30度
水温:24~25度
風向:南の風やや強く
波高:1.5m

今日はリピーターのYさんが!!
お友達のKさんを連れて遊びに来てくれましたよ〜🎶
初めてのダイビングで、やや緊張気味のKさんでしたが...

予想よりも波が落ち着いてくれてホッと一安心。
1本目は港から近い砂地ポイントでウォーミングアップ!
耳抜きの感覚に慣れるまで戸惑いながらも何とか無事に潜行!
ニモを横目にピースサイン頂きました〜!

何やらニモも、こちらに興味津々🎶

Yさんとのツーショットも決まりました🎶

珊瑚の上には綺麗な小魚の群れが!

ここぞとばかりに魚達が元気に泳ぎ回ってました!

なんか丸い物体が動くから...
何かと思えば!!オニダルマオコゼの親子??

それともカップルかな〜??
それにしてもガラの悪い顔してますよね〜 笑。

2本目はパラオハマ珊瑚のポイントへ!

こっそりYさんをパチリ☆

浅場を散策すると珊瑚が元気になっていました!

珊瑚に沿って駆け抜けるロクセンスズメダイの群れ!

テーブル珊瑚はほんと見事でした!

おっと!!
クロヒラアジの群れが!!
10匹近くは泳いでたのにすぐにバラけてしまう。。

最後はパラオハマ珊瑚とお二人で〆
本日はご来店頂きありがとうございました!
またお二人で遊びに来て下さいね。お待ち致しております🎶

~沖縄でダイビングやシュノーケリングを楽しむならウォーターボールへ~

⭐︎ひと組様、限定でのご案内なので安心してお楽しみ頂けます⭐︎


⭐︎まだまだ未開拓のポイント糸満沖も潜るボートダイビングも好評開催中です⭐︎

           

⭐︎まずはお気軽にお問合せ下さい⭐︎


⭐︎お問い合せ・ご予約はこちらから⭐︎

 

 ↓↓↓↓↓↓↓↓↓↓↓↓↓↓↓↓↓↓↓↓↓ 


⭐︎ウォーターボールin沖縄⭐︎